Terreno Agricolo (con / Senza Piccolo Prefabbricato) in Vendita a Cupra Marittima
Zona: Lungomare (al Di Sotto Della Ferrovia)
305 mq
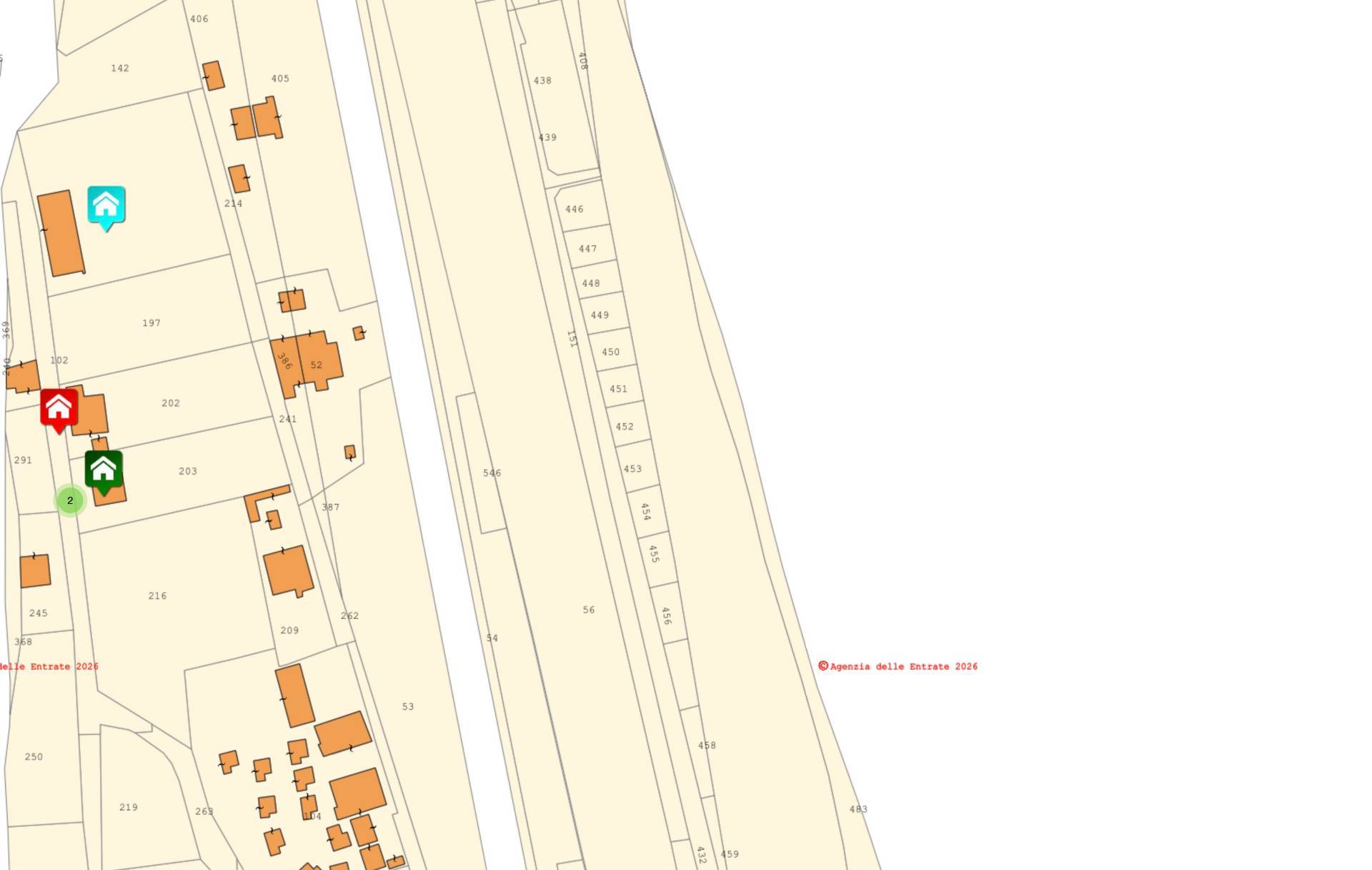
Appezzamento di terreno agricolo su spiaggia, localizzato direttamente sul mare, della superficie di 171 m² e di forma rettangolare. L'appezzamento di terreno corredato di recinto con rete metallica, #d'ingresso e si trova in una posizione letteralmente unica e cioè sulla spiaggia, in uno dei tratti del litorale più ricercati e tranquilli.
Sull'appezzamento di terreno in oggetto è possibile realizzare una cabina delle dimensioni di 1,80 x 1,80 metri oltre ad un gazebo di 10 mq: totale superficie coperta sul lotto: 13,24 metri.
- Non si tratta di un terreno demaniale ma di un terreno di proprietà
- Essendo un terreno prospiciente la spiaggia, il suo fondo è ovviamente in sabbia fina
- Possibilità di installazione di energia elettrica
Informazioni immobile
Codice: 33967
Contratto: Vendita
Tipologia: Terreno Agricolo (con / Senza Piccolo Prefabbricato)
Regione: Marche
Provincia: Ascoli Piceno
Comune: Cupra Marittima
Zona: Lungomare (al Di Sotto Della Ferrovia)
Prezzo: € 171.000
Totale mq: 305 mq
Caratteristiche
Vista mare
Vista panoramica
Mappa immobile
Condividi
Ultimo aggiornamento 06-02-2026


























